Бесплатно Риболовля на околицях м. Кам'янське

Тема в разделе 'Рыбалка в Днепропетровской области', создана пользователем mihail135, 10 ноя 2008.

  1. alkash6

    alkash6 Рыболов

    Сообщения:
    93
    Симпатии:
    207
    Адрес:
    Днепродзержинск
    Возраст:
    31
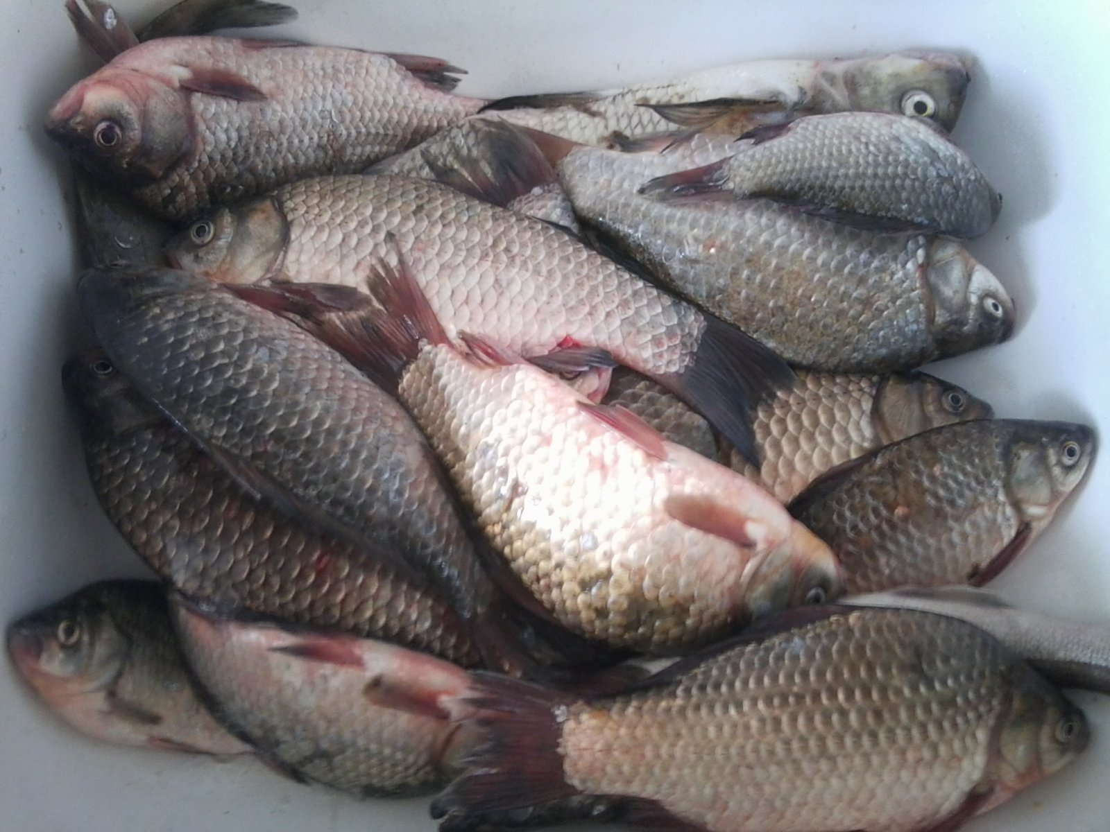
    Сегодня вечером был на откосах с 20:00 примерно до 21:30 взял три карасика и штук 10 плотвы.
     
    • Информативно Информативно x 2

  2. alkash6

    alkash6 Рыболов

    Сообщения:
    93
    Симпатии:
    207
    Адрес:
    Днепродзержинск
    Возраст:
    31
    Сегодня утром на левобережном канале в районе красного дома поймал два шнурка грамм по 500, улов был утоплен.
     
    • Нравится Нравится x 2
    • Не нравится Не нравится x 1
  3. Vasil

    Vasil гость Временно заблокирован

    Сегодня о.Зеленый с 5 00 до 9 00 фидера, бутерброд красный и опарыш.
    Фото0237.jpg Фото0240.jpg Фото0242.jpg Фото0250.jpg
     
    • Нравится Нравится x 16
  4. Бамбекас

    Бамбекас Рыболов

    Сообщения:
    117
    Симпатии:
    935
    Адрес:
    Днепро Дзержинск
    Возраст:
    15
    Ну наконец то, вырвался.:ura: Первый раз в этом году спустил лодку на воду, даже стыдно писать. Выход решил сделать на мирную в воскресенье, и вот район о. Зелёный с 4 до 7 утра , клёв начался сразу-же, шёл карась и тарань на червя и мастырку, поймал где то 2,5-2,7 кг. Хотя рыбалка и короткой была но очень доволен, :bm: что зарядился позитивом. Фотика в спешке не взял.
     
    • Нравится Нравится x 9
    • Улыбнуло Улыбнуло x 1
  5. rom5113

    rom5113 гость Временно заблокирован

    Всем приветы. В воскресенье был на втором речище от моста вниз, сразу за высоковольткой, с берега на фидер поймал десяток плотвы с 5:00 до 10:00... лодок было штук 100 но никто тоже ничего не ловил. Печально, но слабо. Утешил один рак. Его и сфоткал, правда уже дома, вареного :) 2013-07-01 20.20.13.jpg 2013-07-01 20.19.35.jpg
     
    • Нравится Нравится x 6
    • Улыбнуло Улыбнуло x 2
  6. edisson

    edisson гость Временно заблокирован

    №2.jpg Рыбалка удалась.jpg
    Рыбачил 28.06 и 30.06.2013на Днепре в районе Куриловки,с лодки на красного червя,в первый день 6 кг второй день 5 кг,отдохнул и на брался кучу эмоций.
     
    • Нравится Нравится x 6
    • Не нравится Не нравится x 2
  7. artemka62

    artemka62 гость Временно заблокирован

    привет всем,только приехол со 2речиша ловил судака на волунах добыл 3 штуки 2 стандартных розмера и один не доросток был отпушен воду не колышат вот и плохо .позавчера кидал спин на зеленом первое речише пляж один 700 грамовый и все .
     
    • Нравится Нравится x 4
    • Информативно Информативно x 3
  8. mihail135

    mihail135 Рыболов

    Сообщения:
    772
    Симпатии:
    6.695
    Адрес:
    Днепродзержинск
    Возраст:
    69
    Скрытая информация:
    Эта информация скрыта. Прочесть ее могут пользователи имеющие от 50 сообщений на форуме.
     

    Вложения:

    • 7.jpg
      7.jpg
      Размер файла:
      120,6 КБ
      Просмотров:
      422
    • Нравится Нравится x 17
    • Не нравится Не нравится x 2
  9. Бамбекас

    Бамбекас Рыболов

    Сообщения:
    117
    Симпатии:
    935
    Адрес:
    Днепро Дзержинск
    Возраст:
    15
    С трудом дожидаешься выходного и как мальчишка летишь на рыбалку:fisher: , забыв в холодильнике приготовленную собственным рецептом закрыху. В воскресенье в 4-00 уже на воде, встал на рейде возле о.Зелёный. Из куска хлеба и маленькой пачечки кукурузных палочек состряпал что то вроде прикормки, но целый час пустых посиделок без клёва вывел из себя. Спустился ниже, ближе к Николаевке, заякорился наугад и клёв пришёл. Красный червь и кукурузное тесто сделали своё дело, в основном шёл только карась, ближе к девяти солнце:solnce2: P7070326.JPG P7070314.JPG так припекло, что пришлось сматывать удочки. За короткий период времени удовольствия получил много, на вскидку поймано около 3 кг., с головой хватит. И Вам приятной рыбалки.
     
    • Нравится Нравится x 11
  10. mihail135

    mihail135 Рыболов

    Сообщения:
    772
    Симпатии:
    6.695
    Адрес:
    Днепродзержинск
    Возраст:
    69
    После двух выходных, выехал по своему маршруту вдоль, ДМК. Рыбалка, в основном, часов до семи, пока Солнце не разогреет воздух.[10/HIDE]
    Судачок проклевывал редко, но на удивление жадно, все поклевки - сильный удар в руку. Размера правда не дождался :( ... но в конце рыбалки все же отличился. Одна щука и норма есть! Длина 83 см, вес 4.900. Ловил сегодня на спин тестом 1 - 8 г., шнур 0.12, поводок из моно лески 0.22, удовольствие получил :zachet: ... 1.jpg
     

    Вложения:

    • 2.jpg
      2.jpg
      Размер файла:
      181,4 КБ
      Просмотров:
      402
    • Нравится Нравится x 13
    • Не нравится Не нравится x 1