г. Умань и окрестности

Тема в разделе 'Рыбалка в Черкасской области', создана пользователем Solokha, 14 дек 2010.

  1. Сергей_БК

    Сергей_БК Рыболов

    Сообщения:
    392
    Симпатии:
    2.106
    Адрес:
    Умань
    Возраст:
    59
    Здравствуйте. Вчера праздновали день рождения жены двоюродного брата. Решили с братом и еще несколькими человеками (заядлыми рыбаками), на второй день, тобиш сегодня, выехать на рыбалку. Прогнозы о резком ухудшении погоды нас не испугали. Решено - сделано, нисмотря ни на что. На пруду были гдето около 9.00 (с утра было тяжеловато после вчерашнего). Пасмурно но дождя небыло. Завезли снасти на карпа, наживка кукурудза, горох. В рыбалку не упирались, продолжили празднование вчерашнего дня на берегу. Но гдето спустя два часа зарядил дождь и поднялся сильный ветер, пока допразновали и собрались промокли на сквозь. Тем не мение, за это время, я поймал два карпа: один чуть более 2 кг, другой 3 киллограмма. Всем удачи. Фото додаю.
     

    Вложения:

    • Нравится Нравится x 9

  2. Сергей_БК

    Сергей_БК Рыболов

    Сообщения:
    392
    Симпатии:
    2.106
    Адрес:
    Умань
    Возраст:
    59
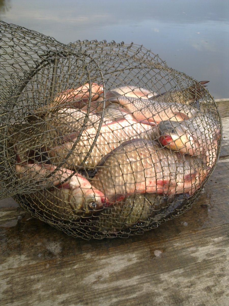
    Здравствуйте. Сегодня выезджал на рыбалку. Попорядку. В пятницу подзвонил коллега с предложением выехать в воскресенье (тобиш сегодня) на р.Синюху. В суботу звоню другому коллеге с предложением присоединится. Оказывается он в этот момент рыбачит на Синюхе, в районе лагеря, результат нулевой. Решаем изменить маршрут. Сегодня, в 7.00. на пруду в Уманском районе. С утра клева небыло. Когда пригрело солце все наладилось. Карась клевал на пружины, на опарыш и пенопласт. Результат - 6 кг, 150-300 гр каждый. Карп молчал все время рыбалки, до 15.00. ( дальний заброс, волос; наживка горох, кукурудза). Уловом пришлось поделиться с местным мурлыкающим любитилем рыбки - на фото. Погода отличная (тепло, солнечно, слабый ветерок), отдых удался, чего и всем желаю. Фото додаю.
     

    Вложения:

    • Нравится Нравится x 10
  3. Сергей_БК

    Сергей_БК Рыболов

    Сообщения:
    392
    Симпатии:
    2.106
    Адрес:
    Умань
    Возраст:
    59
    Здравствуйте. Сегодня Уманский район. Решили сегодня, с двумя коллегами, так сказать, закрыть летний сезон по мирной рыбе. На водоеме после 6.00 утра. Погода, как для этого времени, теплая +14 градусов, днем до +20. Довольно сильный ветер подымал волну. Один из коллег, с утра, пробовал поймать хищника - результата не получил. Карп на кукурудзу, горох, картофель молчал. Говорят что местные ловят на что-то во что подмешивают пыльцу пчел (а может воск, а может и вощину с медом) - кто знает подскажите. Карась клевал неважно (ловили на опарыш и пенопласт), но каждый поймал 4,0 - 4,5 кг карася. Карась ловился примерно в среднем 200 гр каждый. Так получилось что пришлось закрывать и купальный сезон, в связи с тем что было запутано за коряги несколько снастей. А так-как я уже много лет, каждый день, обливаюсь холодной водой то залезть в воду, приблизительно +10 - +14 градусов, было делом, можно сказать, привычным (конечно пробыть сравнительно долго в холодной воде это не облится водой, хорошо что свойство мужского достоинства - в тепле восстанавливатся). Фото додаю. Всем удачи.
     

    Вложения:

    • Нравится Нравится x 8
  4. Сергей_БК

    Сергей_БК Рыболов

    Сообщения:
    392
    Симпатии:
    2.106
    Адрес:
    Умань
    Возраст:
    59
    Здравствуйте. Всех с наступающим... Вот и мне удалось открыть зимний сезон 2012-2013 г.г. Двоюродный брат и его друзья пригласили меня на рыбалку, на один из прудов Уманского района, на котором я ранее не бывал. Тихая погода, несколько градусов мороза, пруд, свежий зимний воздух, толщина льда гдето более 20 сантиметров - красота. Ловил на блесну и яйца. Собственно открытие удалось, несмотря на то что уловом похвастатся не могу, хотя местные исправно ловили на блесну окуньчиков - видно неплохо зают пруд. Хорошему улово скорее всего помешала, если так можно сказать, хорошая компания и застолье на свежем воздухе которое заняло большую часть рыбалки, чем я и остался доволен - отдых удался. Особо не фотографировал - но без фото както не то, поэтому выбрал несколько фрагментов которые додаю. Созванивался сегодня со знакомым, который вчера, экипажем в составе четырех человек, выезджали на р.Синюха, в район Новоархангельской ГЭС. Результат почти никакой - от двух до нескольки густерок.
     

    Вложения:

    • Нравится Нравится x 4
  5. Сергей_БК

    Сергей_БК Рыболов

    Сообщения:
    392
    Симпатии:
    2.106
    Адрес:
    Умань
    Возраст:
    59
    Здравствуйте. Всех с наступающим рождеством. Вчера, с двоюродным братом и двумя коллегами выезджали на рыбалку, на один из прудов Уманского района. Погода малоприятная: температура около 0 градусов, мокрый снег сменялся дождем, на льду вода, ветерок. Ловили на мормышку, мотыль, блесну, яйца, жерлицы. С утра изредка поклевывал неплохой карась (в среднем 300-грамовый) еще реже околокилушный карпик. После обеда проявила себя щука. Коллега поймал щуку на 3 кг. В самом конце рыбалки и мне попалась весом 1,3 кг. Отдыхом доволен, общение в хорошей компании, необошлось без 100 грамм. Все поймали в пределах нормы. Фото додаю, свою щучку фотографировал в приготовленом к праздничному столу виде. Веселих св'ят!
     

    Вложения:

    • Нравится Нравится x 11
  6. Сергей_БК

    Сергей_БК Рыболов

    Сообщения:
    392
    Симпатии:
    2.106
    Адрес:
    Умань
    Возраст:
    59
    Здравствуйте. Немного запоздалый отчет, за выходные, и чтобы освежить тему. Рыбачили в Уманском районе. Температура утром минус несколько градусов, днем плюс несколько градусов, переменная облачность. Ловили на мормышку, мотыль. Очень редко ловился окунчик с мезинец и карасик немного поболее. Говорят что рыбаки преувеличивают. Чтобы не уличили в преувеличении, при фотографировании, подставил мезинец:D (см. фото). Но тем немение отдых удался: свежий зимний воздух, пруд, лед, хорошая компания. Всем удачи.
     

    Вложения:

    • Нравится Нравится x 6
  7. Сергей_БК

    Сергей_БК Рыболов

    Сообщения:
    392
    Симпатии:
    2.106
    Адрес:
    Умань
    Возраст:
    59
    Здравствуйте. Вчера день рождения в кругу родных, дзвонки от друзей и коллег по рыбалке, и сегодня выезд на рыбалку +. Выехали в 7.30. Ловили, в Уманском районе, на мормышку + мотыль, ловился карась, лед около 30 см. В рыбалку упирались не сильно + отдых. Рыбалка - Отдых удались, результат на фото.
     

    Вложения:

    • Нравится Нравится x 8
  8. Сергей_БК

    Сергей_БК Рыболов

    Сообщения:
    392
    Симпатии:
    2.106
    Адрес:
    Умань
    Возраст:
    59
    Здравствуйте. Вчера Уманский район. Решили , с коллегой, открыть летний сезон по мирной рыбе. На водоеме после 5.00 утра, только наченало светать. Погода, с утра довольно прохладно, днем жарко. Довольно сильный ветер подымал волну. Решили ловить карпа на кукурудзу, горох, картофель, и карася на червя, опарыш, пенопласт. Карась клевал неважно, и небольшого размера, 100-150 грамм, крупнее попадался очень редко (хотя из разсказов знакомых, неделю назад клевал крупный карась - наверное ушел на нерест, было слышно как он нерестится в камышах). В результате было поймано 3 кг карася. Карп не клевал вобще и не проявлял активности на водоеме - наверное еще холодно. Отдых удался. Фото додаю. Всем удачи.
     

    Вложения:

    • Нравится Нравится x 9
  9. Сергей_БК

    Сергей_БК Рыболов

    Сообщения:
    392
    Симпатии:
    2.106
    Адрес:
    Умань
    Возраст:
    59
    Здравствуйте. Уманский район. С двумя коллегами по работе и рыбалке на водоеме около 5.00 утра, только наченало светать. Температура воздуха от прохладно утром (надевали куртки) до 30 градусов тепла днем. С утра ветра не было - тиш да гладь, днем ветер умеренный - южный, югозападный. Карпа пытались ловить на кукурудзу, горох, картофель, карася на червя, опарыш, пенопласт. Карась клевал немного лучше чем две недели назад но тоже относительно небольшого размера, 100-150 грамм, крупнее попадался очень редко. Было слышно как карась еще нерестится в камышах, хотя в улове почти весь карась без икры. Карась клевал на опарыша, немного хуже на ароматизированный анисом пенопласт. Карп не клевал вобще и не проявлял активности на водоеме. Что удивило так это то, что в начале мая уже цветет вода, на моей памяти это впервые, не понятно что делается в природе. Отдых удался. Фото додаю. Всем удачи.
     

    Вложения:

    • Нравится Нравится x 7
  10. Altay

    Altay гость Временно заблокирован

    Вчера соревнование на в Умани на Осташевке проводили.... Так готовился, так из ощерился с прикормкой длинной поводков, размеров крючков и насадками .... И глухо (((( один маленький карасик. Ловил на фидерную снасть, В поисках карася и карпа. Первое место занял поплавочник который уклеек и красноперки под берегом натягал
     
    • Нравится Нравится x 3
    • Улыбнуло Улыбнуло x 1