Платник Платна риболовля в Юрьївському районі

Тема в разделе 'Рыбалка в Днепропетровской области', создана пользователем Teofidrin, 23 май 2009.

  1. soljvey

    soljvey Рыболов

    Сообщения:
    41
    Симпатии:
    149
    Возраст:
    52
    суббота, 1 июля, варваровка, надежда умирает последней, не сдаемся и ищем рыбу. оказывается не так просто её найти, походу она стала вся золотой, с 5 утра уже во все оружии, разложился и стал ждать клева, толстолоб гулял с самого утра, но просто гулял, перепробывал все планктоны что были, в ответ как благодарность впоймал на один из них карася за жабры) коропа не видел, видимо нужно искать новый вид наживки, те что мы привыкли цеплять его не интересует. карась задолбал дергать, ловился только на самый маленький крючок предварительно перевязаный на убийцу карася. вообщем этот год какой то черный, непонятно как и непонятно где можно рыбу половить и не ради поесть а ради азарта и дрожи в коленках)) на выходные еще сьезжу на макитры с ночовкой, посмотрим) всем удачи и побольше золотых рыбок)
     
    • Нравится Нравится x 7
    • Информативно Информативно x 6
    • Улыбнуло Улыбнуло x 3

  2. Евгений 78

    Евгений 78 Рыболов

    Сообщения:
    5
    Симпатии:
    21
    Возраст:
    47
    01.07 был на макитрах. Разложились уже в 4-00. Рядом сидели местные с ночи на толстолоба ( результат 0), в 10-00 они ушли так ничего и не поймали. Перепробовал почти все на наживку и как результат плотва меньше лодошки 15 шт, правда берет на все червь, кукуруза, пенопласт, тесто. Ни карася ни карпа - ничего нормального. Охранник как всегда нарассказывал байки а вот вчера, а вот позавчера. В 17-00 собрался. Цена прошлого года
     
    • Информативно Информативно x 9
  3. dikos79

    dikos79 Рыболов

    Сообщения:
    14
    Симпатии:
    12
    Возраст:
    46
    Затишне с 30 на 1 , приехали часов в 18, прикормили, забросили пружины, удочки и на толстолоба. Через 15 минут первая поклевка на планктон и в садке лобаты на 2,5 кг. И ВСЕ... ночь, утро и до 12 больше ни одной поклевки, кукуруза разная, пенотесто разных вкусов и тишина. Соседи в 9 уехали полностью по 0.
     
    • Информативно Информативно x 7
    • Нравится Нравится x 2
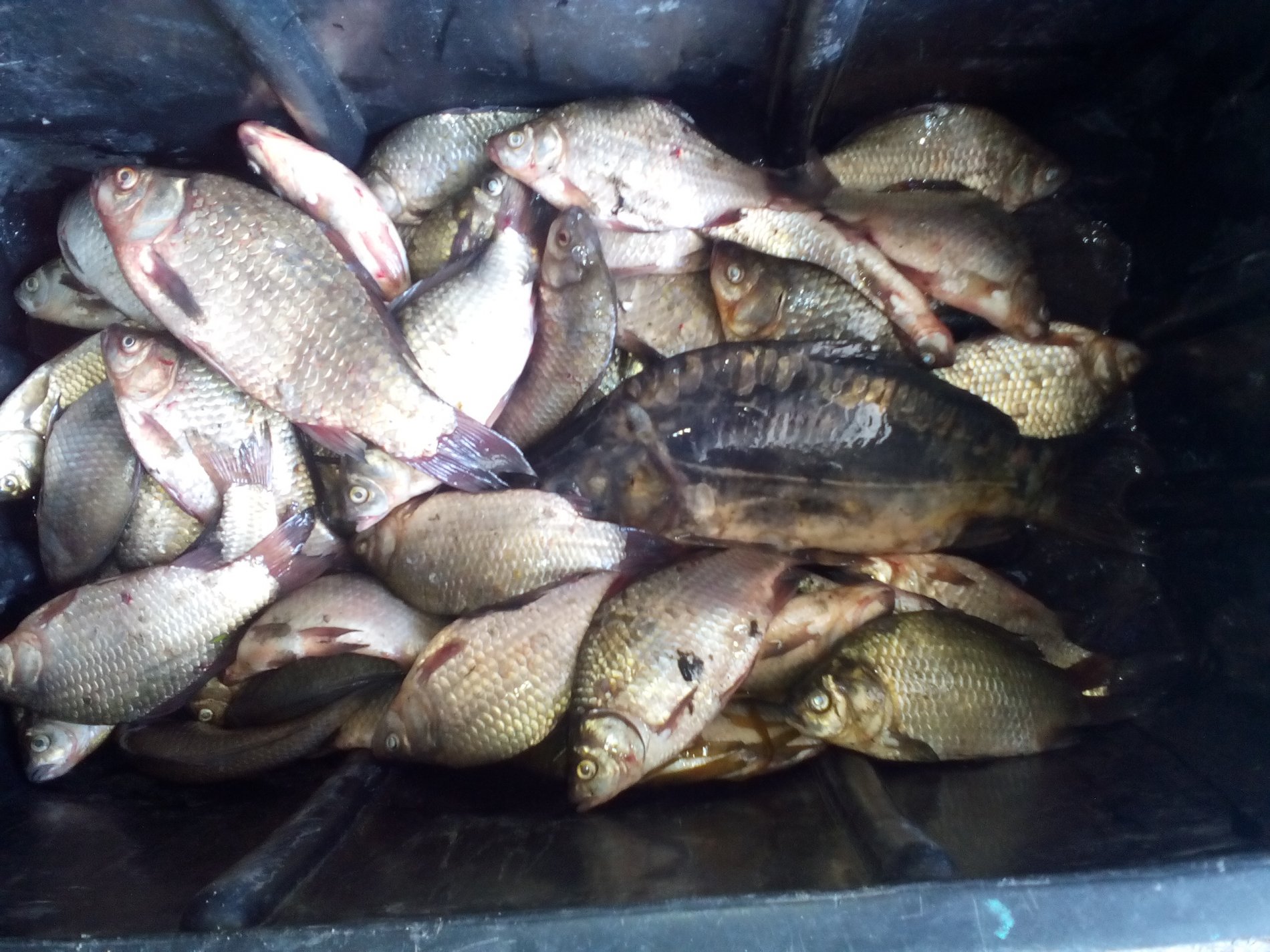
  4. April

    April Рыболов

    Сообщения:
    14
    Симпатии:
    45
    Адрес:
    Павлоград
    Возраст:
    51
    Варваровка с 8 на 9 июля.сухарики чеснок.
    IMG-282ff0127c5e431e1723adc62efc79f4-V.jpg
     
    • Нравится Нравится x 14
    • Информативно Информативно x 2
  5. Sivkov

    Sivkov Рыболов

    Сообщения:
    65
    Симпатии:
    315
    11/07/17 Вербоватовка. с пяти утра уже на воде, водоем новый, пробный заплыв. Для информации -- ловили слева от дамбы, метров 40 от камыша мелководье(0.5-0.7м), далее за коряжником глубже, ставок закоряжен по полной, дно илистое. На удочки на все наживки бесперебойно клевал карась в пол ладошки и меньше, шансов поймать что то кроме не давал вообще, старую кукурузку, что не добил карась -- доедали раки неспеша . Друг смог выудить карпика среднего, у меня в улове 60 штук аквариумного карася за час (уже руки устали махать удочкой). На водоеме много толстолоба, но сегодня снасти не брали.
     
    • Информативно Информативно x 8
    • Нравится Нравится x 7
  6. Sivkov

    Sivkov Рыболов

    Сообщения:
    65
    Симпатии:
    315
    Макитры 23-24/07/17. Писать не о чем толком -- за сутки поклевок не было ни днем, ни ночью. Ни толстолоб, ни карп, ни амур не клевал. За прошлые сутки и этими результаты почти у всех рыбаков одинаковы.
     
    • Информативно Информативно x 6
  7. April

    April Рыболов

    Сообщения:
    14
    Симпатии:
    45
    Адрес:
    Павлоград
    Возраст:
    51
    Затышне с 23 на 24 июля.рыба хорошо закормлена вот и не клюет..
     

    Вложения:

    • Нравится Нравится x 5
    • Информативно Информативно x 2
  8. soljvey

    soljvey Рыболов

    Сообщения:
    41
    Симпатии:
    149
    Возраст:
    52
    день добрый всем, приехал с ночевки , макитры, оптимистов обрадую, впоймал целого карпа грамм на 400 и красноперку,тех кто не верит что в этом году можно что то впоймать тоже хорошая новость, кто был эти сутки на ставке почти все с сухими садками. дотерпел до 9 утра смотреть на недвижущиеся поплавки и решил свернутся и махнуть на бригадирский, за два часа что там побыл вытащил толстолоба на 500 гр.) ну вообщем как то так, нечего больше и сказать и поможет ли кому нибудь пожелания удачной рыбалки)))
     
    • Информативно Информативно x 10
    • Нравится Нравится x 1
    • Улыбнуло Улыбнуло x 1
  9. Becknam

    Becknam Рыболов

    Сообщения:
    60
    Симпатии:
    279
    Возраст:
    39
    Макитры 16-17/08/17. Двоякое ощущение от рыбалки...поехали, наслушавшись разговоров:"Та там амуров по 30 кг за сутки и карпов еще столько же...":D, на выходите получилось немножко похуже :D Ночью вообще не брал, правда мы больше :cr:, но был трезвый товарищ, который заверил нас, что клева не было...Брал в основном на атбшную кукурузу с опарышем, но приходилось сидеть и смотреть как плотва трепала опарыша и терпеливо ждать хорошую поклевку...Амура в итоге не поймали ни одного, у меня 6 шт на 3,8кг(самый, так сказать, большой - 1,1кг), трезвенник тоже поймал 6 шт, но на 2,1 общего, а третий товарищ поймал 2 шт по 650 грамм. Толстолоб тоже молчал, может из-за того, что очень сильный ветер был%). Кроме нас еще люди сидели на резинку с другой стороны, кормили с лодки кукурузой очень плотно, но чтобы вытаскивали что-то я не видел...Ограничений ни по количеству, ни по размеру нет, сутки - 150 грн.
     

    Вложения:

    • 11.jpg
      11.jpg
      Размер файла:
      247,6 КБ
      Просмотров:
      597
    • Нравится Нравится x 7
    • Информативно Информативно x 2
  10. Olay

    Olay Рыболов

    Сообщения:
    28
    Симпатии:
    161
    Возраст:
    49
    Макитры с 18 на 19 резинка,спиннинги, все на кукурузу варёную ,кармили с лодки завозили снасти лодкой,а в итоге за сутки 2 карпика.Один 650 гр ,второй 1кг.Ветер восточный порывистый рыба есть и гулять отказалась.
     
    • Информативно Информативно x 2